ブログ
2025.10.24
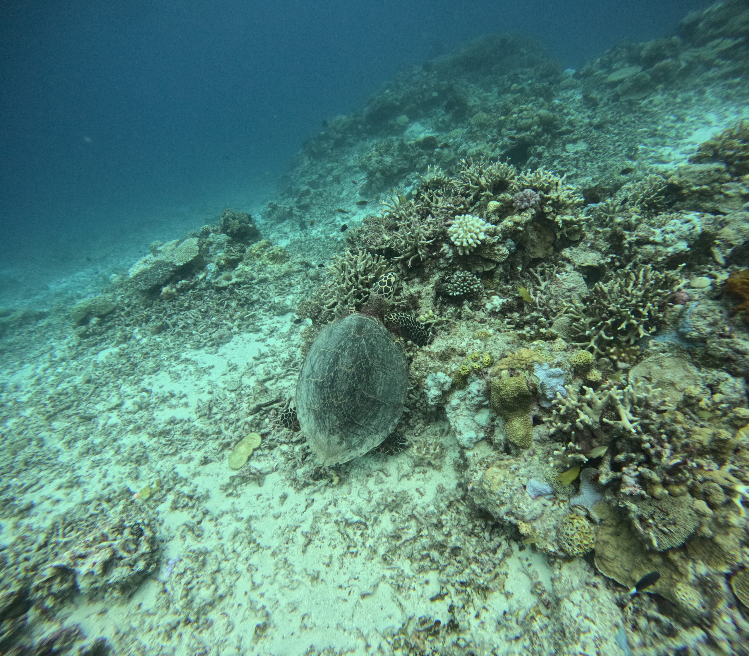
10月24日 慶良間ファンダイビング
お天気:曇り時々晴れ
気温:31℃
水温:28℃台に・・・
風向:北東
波高:3m
冬ポイントを毎日巡っております・・・
もうそんな時期かあ~シミジミ。
1.唐馬No.2
2.留加比の鼻
3.アリガーケーブル/南
どこのポイントもどことなく透明度が悪い・・・
なんでなんだろうか・・・(・・?
ありがとうございました^^
明日は渡名喜島遠征予定ですが、果たして行けるかな!?!?
————最後にお知らせです(*´_ゝ`)ノ————
◎2025年渡名喜島遠征がもうすぐ終わっちゃいます⛱
◎KAMASUフィン入荷しました!!!
XS、S、M、L いずれもブラックの在庫ございます。
すでに当スタッフも使用していますが、何より脱ぎやすい!
フィン底(?)がフカフカしてる!との事です😂👐
気になる方はお問い合わせください\(^o^)/
◎ファンダイブの方はご自身で水中の管理をお願い致しますm(*__)m
ダイブコンピューターをお持ちでない方はレンタルをしてください⚠❗
◎ダイブコンピューター⌚販売中
AQUALUNG(アクアラング)カルムプラス最新機種
LINE登録で¥94,600→¥59,800 現金特価☝❗☝
今だけご購入の方にLINEクーポン(2,000円分)or
ショップオリジナルTシャツ(3,000円分)贈呈します!
◎バラクーダフィンもレンタルできます!
サイズはS、M、Lをご用意!
数に限りがございますのでご希望の方はお早めにお申し付けください
◎ショップオリジナルTシャツ¥3,850で販売中
今だけ!ステッカーもプレゼント中💋
この機会に是非手に入れちゃってください♬
―⋆✩⋆―⋆✩⋆―⋆✩⋆―⋆✩⋆―⋆✩⋆―⋆✩⋆―⋆✩⋆―⋆✩⋆―
LINE@スタンプ(ポイントカード)始めました(*゚▽゚*)
1日ご参加につき、1ポイント進呈♪
5ポイント溜まったら1,000円OFFクーポン差し上げます!
![]()
―⋆✩⋆―⋆✩⋆―⋆✩⋆―⋆✩⋆―⋆✩⋆―⋆✩⋆―⋆✩⋆―⋆✩⋆―
インスタグラムはこちら☻
https://www.instagram.com/dunk_marinestar/
FACEBOOKはコチラ↓
https://www.facebook.com/marinestar.dunk
―⋆✩⋆―⋆✩⋆―⋆✩⋆―⋆✩⋆―⋆✩⋆―⋆✩⋆―⋆✩⋆―⋆✩⋆―



