ブログ
2025.10.25
10月25日 渡名喜慶良間トライアングルファンダイビング
お天気:晴れ時々曇り
気温:30℃
水温:28~7℃台に・・・
風向:北東
波高:2m
今日は3チームに分かれてきました✨
渡名喜チーム!!
1.コーナー
2.ホール
3.コーナー
何と意外と?おだやか?でして渡名喜行けちゃいました✨
まぁ道中よりも到着して穏やかならいいってことで一つ。。。(笑)
慶良間チーム!!
1.アラリ
2.ダイマル
3.神山南ラビリンス
慶良間地チームはのんびりです!
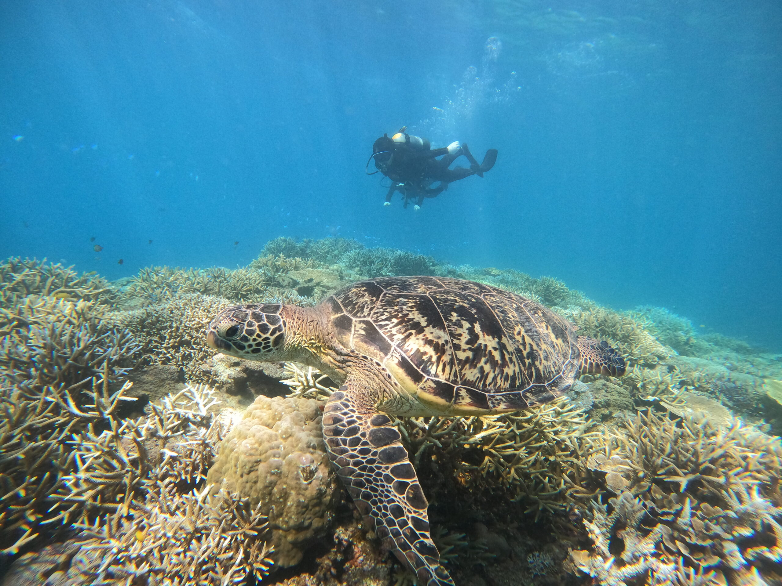
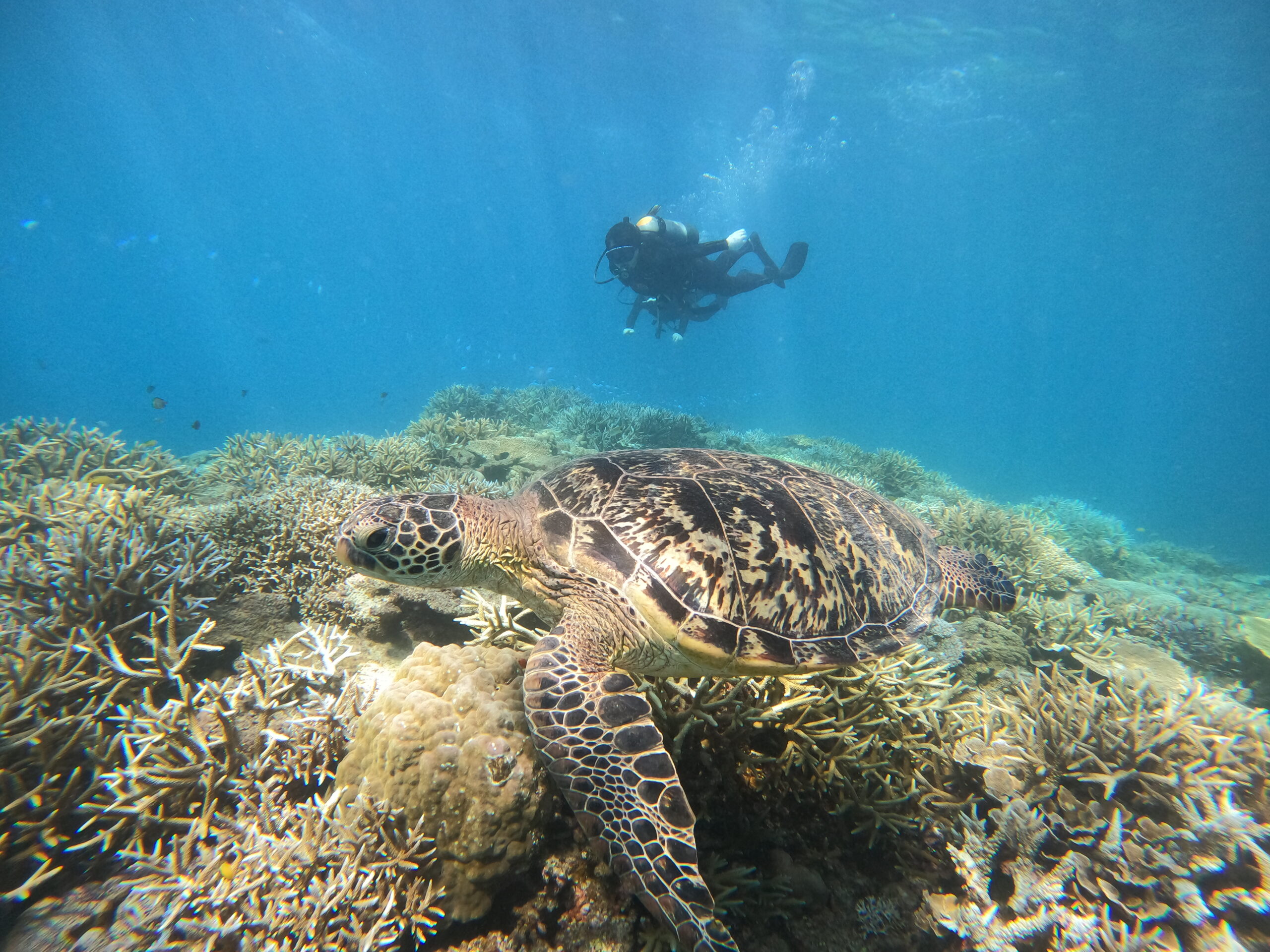
何とカメさんが奇跡の出演!最高の写真撮れました✨
トライアングルチーム!!
1.トライアングル
2.トライアングル
3.トライアングル
最近話題のバラクーダ!!たくさん見れました👏
今日はここまで!!!!
また明日!!!
————最後にお知らせです(*´_ゝ`)ノ————
◎2025年渡名喜島遠征がもうすぐ終わっちゃいます⛱
◎KAMASUフィン入荷しました!!!
XS、S、M、L いずれもブラックの在庫ございます。
すでに当スタッフも使用していますが、何より脱ぎやすい!
フィン底(?)がフカフカしてる!との事です😂👐
気になる方はお問い合わせください\(^o^)/
◎ファンダイブの方はご自身で水中の管理をお願い致しますm(*__)m
ダイブコンピューターをお持ちでない方はレンタルをしてください⚠❗
◎ダイブコンピューター⌚販売中
AQUALUNG(アクアラング)カルムプラス最新機種
LINE登録で¥94,600→¥59,800 現金特価☝❗☝
今だけご購入の方にLINEクーポン(2,000円分)or
ショップオリジナルTシャツ(3,000円分)贈呈します!
◎バラクーダフィンもレンタルできます!
サイズはS、M、Lをご用意!
数に限りがございますのでご希望の方はお早めにお申し付けください
◎ショップオリジナルTシャツ¥3,850で販売中
今だけ!ステッカーもプレゼント中💋
この機会に是非手に入れちゃってください♬
―⋆✩⋆―⋆✩⋆―⋆✩⋆―⋆✩⋆―⋆✩⋆―⋆✩⋆―⋆✩⋆―⋆✩⋆―
LINE@スタンプ(ポイントカード)始めました(*゚▽゚*)
1日ご参加につき、1ポイント進呈♪
5ポイント溜まったら1,000円OFFクーポン差し上げます!
![]()
―⋆✩⋆―⋆✩⋆―⋆✩⋆―⋆✩⋆―⋆✩⋆―⋆✩⋆―⋆✩⋆―⋆✩⋆―
インスタグラムはこちら☻
https://www.instagram.com/dunk_marinestar/
FACEBOOKはコチラ↓
https://www.facebook.com/marinestar.dunk
―⋆✩⋆―⋆✩⋆―⋆✩⋆―⋆✩⋆―⋆✩⋆―⋆✩⋆―⋆✩⋆―⋆✩⋆―








